بار تریاک خودروهای سنگین چگونه در دستگاه ایکس‌ری شناسایی می‌شود؟ + ویدیو

اخیراً ویدیویی از عملکرد دستگاه ایکس‌ری خودروهای سنگین برای کشف محموله‌های قاچاق منتشرشده که می‌توانید آن را در ادامه ببینید.

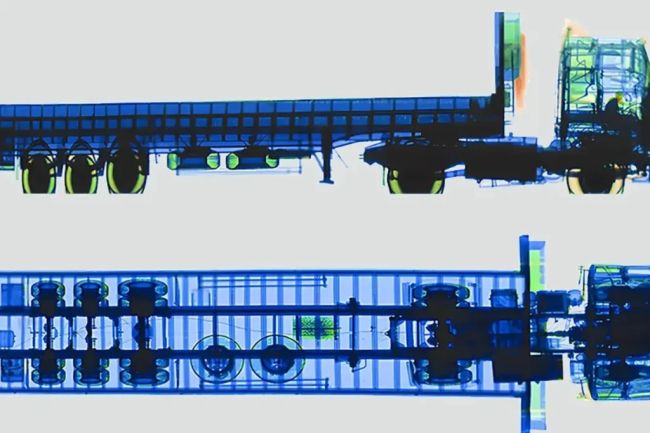
استفاده از دستگاه‌های ایکس‌ری پرقدرت (High-Energy X-ray) در مبادی گمرکی و نقاط ایست و بازرسی، تحولی بزرگ در کشف کالاهای قاچاق و مواد ممنوعه ایجاد کرده است. 
این سیستم‌ها با استفاده از شتاب‌دهنده‌های خطی، پرتوهایی با نفوذ بالا تولید می‌کنند که قادر است از لایه‌های ضخیم فولادی بدنه کامیون‌ها و کانتینرها عبور کند. تصاویر به‌دست‌آمده با تفکیک رنگی بر اساس عدد اتمی مواد (Z-effective)، به اپراتورها اجازه می‌دهد تا تفاوت میان مواد آلی (مانند مواد مخدر یا سوخت)، مواد معدنی و فلزات را تشخیص دهند. 

این دقت بالا باعث می‌شود تا جاسازی‌های پیچیده در باک‌های دوجداره، سقف کانتینر یا میان کالاهای مجاز به سرعت شناسایی شوند.

یکی از چالش‌های اصلی در مدیریت مرزها، برقراری تعادل میان امنیت و سرعت ترانزیت کالا است. 

بازرسی سنتی و دستی یک تریلر ممکن است ساعت‌ها زمان ببرد و عملاً تخلیه کامل بار غیرممکن باشد؛ اما دستگاه‌های ایکس‌ری متحرک (Gantry) یا ثابت، کل بدنه خودروی سنگین را در کمتر از چند دقیقه اسکن می‌کنند. 

این سیستم‌ها با ایجاد تصاویر سه‌بعدی یا چندجهتی، زوایای پنهان خودرو را که از دیدرس فیزیکی خارج است، آشکار می‌سازند. 

با حذف نیاز به تخلیه بار، نه تنها هزینه‌های لجستیکی کاهش می‌یابد، بلکه ضریب خطای انسانی در تشخیص محموله‌های جاسازی شده نیز به حداقل می‌رسد.

در سطح کلان، تجهیز مبادی ورودی به دستگاه‌های ایکس‌ری پیشرفته، سدی محکم در برابر قاچاق سازمان‌یافته کالا، اسلحه و حتی قاچاق انسان ایجاد می‌کند. الگوریتم‌های هوش مصنوعی (AI) متصل به این دستگاه‌ها اکنون می‌توانند به طور خودکار ناهنجاری‌های موجود در چگالی بار را شناسایی کرده و در صورت مطابقت نداشتن تصویر اسکن شده با اظهارنامه گمرکی، هشدار صادر کنند. 

این رویکرد فناورانه، ریسک قاچاق را برای شبکه‌های غیرقانونی به شدت افزایش داده و با تقویت نظارت حاکمیتی، از خروج سرمایه‌های ملی و ورود کالاهای آسیب‌رسان به اقتصاد کشور جلوگیری می‌کند.
+33
رأی دهید
-2

نظر شما چیست؟
جهت درج دیدگاه خود می بایست در سایت عضو شده و لوگین نمایید.